موقع ArabiaWeather.com - تقف الهند بأكملها خلال الساعات القادمة على أعصابها ، حيثُ يلوح إعصار فيلين الهائل و المُدمّر في الأفق الشرقي للبلاد مُهدداً أرواح الملايين من السُكان ، وسط صراعٍ بين السلطات الهندية و الزمن لنقل أكبر قدرٍ مُمكن من السُكّان و الزوار بعيداً عن ولاية أندرا باراديش و ساحل أوديشا قبل أن يحل عليها الظلام ، لأنه الوقت المرتقب لوصول الإعصار الهائل و ما يحمله من تأثيرات قاتلة.
الإعصار الهائل يحمل في جُعبته رياحاً قادرة على اقتلاع المنازل من الأرض ، بسُرعة 220 كيلومتراً في الساعة و سرعة هبات مرافقة تلامس الـ300 كيلومتر بالساعة ، و أمطاراً طوفانية تزيد عن 250 ملم ، و أمواج عالية جداً ستضرب مناطق هندية غاية في الفقر و ضعف البنية التحتية.
السلطات الهندية قامت لحد الآن بنقل 86000 شخصاً فقط من سُكان ولاية أدرا براديش ، من أصل عشرات ملايين السكان لهذه الولاية ، حيثُ تقع الأولوية للمناطق الساحلية التي ستضربها عين الإعصار،كما قام نحو 300 ألف شخص بالهروب غرباً بعيداً عن الساحل.

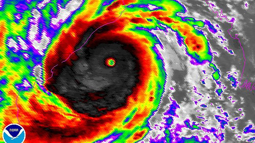
صورة حديثة للإعصار فيلين من الدرجة الخامسة
أرقام الإعصار الأولية تُشير إلى أنه قد يكون الأقوى في تاريخ الهند، و يجب على كُل زوّار و سُكّان المناطق الساحلية الشرقية من الهند الهروب فوراً من المكان.
الوضع مقلق جداً ، و قنوات التلفزة العالمية تتجاهل التركيز على الإعصار رُغم أنه تحوّل إلى وحشٍ حقيقي.

تطبيق طقس العرب
حمل التطبيق لتصلك تنبيهات الطقس أولاً بأول
