actualités météorologiques mondiales

بعد الفيليبين .. أين ستكون الوجهة الثانية للإعصار "راماسان" ؟

بعد الفيليبين .. أين ستكون الوجهة الثانية للإعصار "راماسان" ؟

الإعصار " راماسان" يقترب من الفيليبين ويضرب أواسطها اعتباراً من ظهر الثلاثاء

الإعصار " راماسان" يقترب من الفيليبين ويضرب أواسطها اعتباراً من ظهر الثلاثاء

صورة : تعرض مدينة نوفوسيبيرسك الروسية لعاصفة رعدية قوية

صورة : تعرض مدينة نوفوسيبيرسك الروسية لعاصفة رعدية قوية

بالفيديو: اختفاء معالم بلدة "نيوغوري" اليابانية بثوانٍ بسبب انهيار في التربة !

بالفيديو: اختفاء معالم بلدة "نيوغوري" اليابانية بثوانٍ بسبب انهيار في التربة !

بعد "نيوغوري" إعصار جديد يتشكل غرب الهادي والوُجهة هي الفيليبين

بعد "نيوغوري" إعصار جديد يتشكل غرب الهادي والوُجهة هي الفيليبين

بالفيديو : فيضانات عارمة تَضرُب جنوب رومانيا

بالفيديو : فيضانات عارمة تَضرُب جنوب رومانيا

بعد الإعصار نيوغوري .. إعصار جديد يتكون غرب المحيط الهادي !

بعد الإعصار نيوغوري .. إعصار جديد يتكون غرب المحيط الهادي !

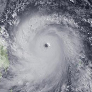
بالصور : انظر كيف بدا الإعصار نيوغوري من الفضاء !

بالصور : انظر كيف بدا الإعصار نيوغوري من الفضاء !

بالفيديو : انهيارات أرضية ضخمة نجمت عن أمطار العاصفة الاستوائية نيوغوري

بالفيديو : انهيارات أرضية ضخمة نجمت عن أمطار العاصفة الاستوائية نيوغوري

بالفيديو : الإعصار نيوغوري يصل الى جزيرة "كيوشو" اليابانية حاملاً معه الأمطار الغزيرة ..

بالفيديو : الإعصار نيوغوري يصل الى جزيرة "كيوشو" اليابانية حاملاً معه الأمطار الغزيرة ..

الإعصار نيوغوري يتراجع بشكل لافت ويتحول في وقت مُبكّر الى عاصفة استوائية !

الإعصار نيوغوري يتراجع بشكل لافت ويتحول في وقت مُبكّر الى عاصفة استوائية !

تغيرات جديدة على قوّة الإعصار نيوغوري ومساره المتوقع ..

تغيرات جديدة على قوّة الإعصار نيوغوري ومساره المتوقع ..