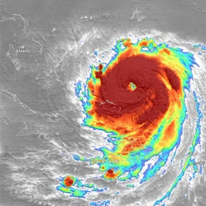
Arab Weather - Meteorologists at the Arab Weather Regional Center reported that Hurricane Irene, centered in the Atlantic Ocean, has once again been upgraded to Category 4, with sustained wind speeds reaching 215 km/h. The air pressure at the hurricane's center has also dropped to 945 millibars.
Hurricane Irene is currently impacting parts of the Caribbean, particularly the Turks and Caicos Islands and the southeastern coast of the Bahamas. These areas are experiencing heavy rainfall, strong winds, and significant sea surges, negatively impacting maritime traffic.

The latest computer modeling and analysis from the Arab Weather forecasting team indicates that Hurricane Irene will move northeastward over the coming days. This means it will continue to move along the eastern coast of the United States, including Florida, but without any direct impacts so far.
Hurricane Irene, the first Atlantic hurricane of 2025, reached a dangerous Category 5 last Saturday, with winds reaching 160 mph (260 km/h), before weakening again to Category 4. It is expected to maintain its strength over the coming days and grow in size.
Arabia Weather App
Download the app to receive weather notifications and more..